Municípios
Assentamento rural em Murici corre risco de perder área para implantação de condomínio privado
Parte de fazenda desapropriada pelo Estado estaria sendo retirada de projeto de assentamento por meio de manobras administrativas e legislativas
Após mais de duas décadas marcadas por resistência, despejos, ameaças e destruição de lavouras, as famílias camponesas do acampamento Bota Velha, em Murici, na Zona da Mata de Alagoas, voltam a enfrentar uma nova ameaça. Desta vez, o risco não vem por meio de reintegrações de posse, mas de articulações administrativas, cartoriais e legislativas que podem comprometer parte da área desapropriada pelo próprio Governo de Alagoas para fins de reforma agrária.
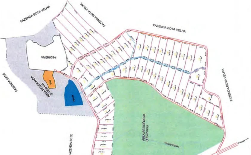
A denúncia aponta que cerca de 50 hectares da Fazenda Bota Velha, inserida em um imóvel de 513 hectares adquiridos integralmente pelo Estado em março de 2022, estariam sendo, na prática, retirados do projeto de assentamento para viabilizar a construção de um condomínio fechado e chácaras, beneficiando empresários locais. Para a Comissão Pastoral da Terra (CPT), há indícios claros de grilagem de terras.
Conquista histórica sob ameaça
A área da Fazenda Bota Velha é marcada por conflitos no campo desde 1999, envolvendo camponeses e camponesas dos acampamentos Bota Velha e Santa Cruz, que enfrentaram anos de violência, perseguições e sucessivos mandados de despejo ligados a antigas usinas falidas. O último confronto de maior dimensão ocorreu em 2019, quando um despejo foi suspenso após forte pressão social.
Na ocasião, o então governador Renan Filho (MDB) assumiu publicamente o compromisso de adquirir a área, diante da ausência de ação do governo federal. O compromisso foi formalizado em 31 de março de 2022, com a publicação do Decreto nº 82.176, que declarou a Fazenda Bota Velha de utilidade pública para desapropriação, destinando seus 513,264 hectares à implantação de um projeto de geração de renda e fixação de trabalhadores e trabalhadoras rurais no campo.
“O decreto é claro: toda a área é para assentamento. O Estado pagou o valor dos 550 hectares registrados em cartório. A terra é das famílias camponesas”, afirma Jailson Tenório, coordenador da CPT em Alagoas.
Atualmente, cerca de 100 famílias vivem e produzem na área, onde se consolidou uma experiência de reforma agrária popular, com produção diversificada de alimentos, feiras livres, casa de farinha com produção semanal de até meia tonelada, além de moradias, escola, capela, energia elétrica e açude.
Registros cartoriais levantam suspeitas
Mesmo com a clareza do decreto estadual, certidões emitidas posteriormente pelo Cartório do 1º Ofício de Registro de Imóveis de Murici passaram a sustentar que entre 48 e 50 hectares não fariam parte da Fazenda Bota Velha, mas sim de uma área denominada Fazenda São Simeão, supostamente adquirida pela empresa BET Construtora SPE LTDA.
A Certidão de Inteiro Teor, emitida apenas em 4 de setembro de 2025, indica alterações e cancelamentos de matrícula realizados após a desapropriação. Para a CPT, o encadeamento temporal dos fatos é preocupante, já que o decreto estadual data de março de 2022, enquanto as mudanças cartoriais surgem meses ou anos depois.
“Em 2022, quando o Iteral pediu as certidões, o cartório dizia que não existia nada. Agora, os livros ‘aparecem’. Isso é grave”, denuncia Jailson Tenório.
Outro ponto levantado é que os antigos proprietários receberam o valor integral da desapropriação, incluindo a área agora questionada, o que significa que o Estado teria pago por terras que estariam sendo destinadas a terceiros.
Projeto de lei pode viabilizar empreendimento privado
A situação se intensificou com o envio à Câmara Municipal de Murici do Projeto de Lei nº 020/2025, de autoria do prefeito Remi Vasconcelos Calheiros Filho (MDB). A proposta inclui a área em disputa no perímetro de expansão urbana do município, prevendo explicitamente o uso para loteamento residencial, chácaras e áreas de lazer, em benefício da construtora.
Documentos indicam que a empresa teria adquirido a chamada Fazenda São Simeão em 22 de março de 2024, dois anos após a desapropriação da Fazenda Bota Velha. A certidão emitida em 24 de novembro de 2025 informa que a matrícula teria sido restaurada após a destruição do acervo do cartório nas enchentes de 2010, informação que não constava quando o decreto estadual foi publicado.
A proposta está prevista para votação em sessão extraordinária no dia 23 de dezembro de 2025, durante o recesso político e sem diálogo com as famílias diretamente impactadas. “Transformar terra desapropriada para assentamento em área urbana para condomínio é desviar a finalidade do decreto e rasgar o direito das famílias”, afirma a coordenação da CPT.
Cobrança por esclarecimentos
Para a Comissão Pastoral da Terra, o caso ultrapassa um conflito local e expõe a fragilidade da política de reforma agrária diante dos interesses do capital imobiliário. A entidade cobra explicações do Governo de Alagoas e da Prefeitura de Murici, ambos sob gestão do MDB.
“A pergunta é simples: se o governo desapropriou, pagou e decretou a área inteira para assentamento, como pode agora permitir que uma parte seja desviada para empresários?”, questiona Jailson Tenório.
A CPT defende que 100% da Fazenda Bota Velha seja destinada às famílias camponesas, conforme estabelecido no decreto e pago com recursos públicos, alertando que qualquer fracionamento da área representa um precedente grave de legalização da grilagem sobre terras da reforma agrária.
*Com informações da Assessoria


